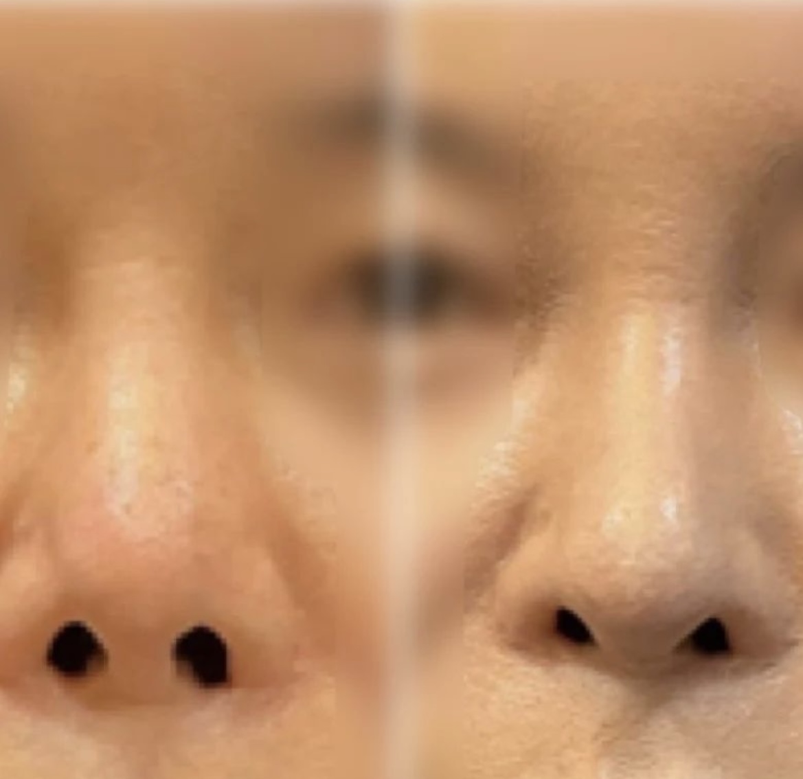
게시물 검색 전체 눈성형 중년눈성형 지방성형 코성형 가슴성형 쁘띠/안티에이징 [눈성형] 비절개쌍커풀 수술후 1개월사진 [코성형] 메부리코성형 수술후 1개월후 [코성형] 짧은코성형 수술후1개월후 [코성형] 짧은코성형 수술후 1개월후 [쁘띠/안티에이징] 필러 수술후 1개월후 [쁘띠/안티에이징] 보톡스 시술후 1개월후 [쁘띠/안티에이징] 실리프팅 수술후 1개월후 [눈성형] 눈밑지방재배치 수술후 1개월후 [지방성형] 지방흡입술 시술후 1개월후 [쁘띠/안티에이징] 안면거상술 수술후 1개월후 [눈성형] 비절개쌍커풀 수술후 1개월 [눈성형] 비절개쌍커풀 수술후 1개월후 [눈성형] 비절개쌍커풀 수술후 1개월후 [눈성형] 비절개쌍커풀 수술후 1개월후 [눈성형] 비절개쌍커풀 수술후 1개월후 1페이지 2페이지 3페이지 4페이지 열린5페이지 6페이지